Landowners in Riverside Light Industrial get final rezoning approval
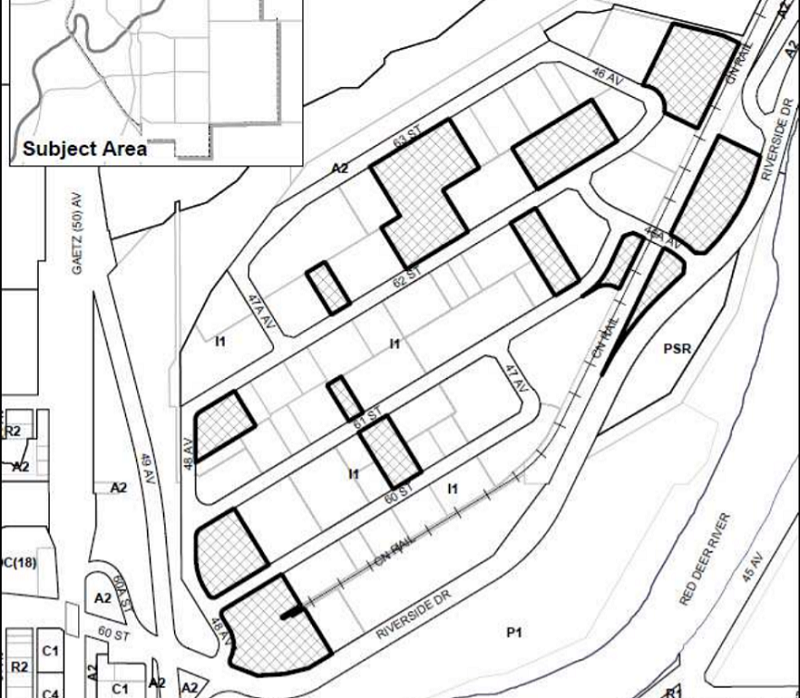
Twenty properties in Red Deer’s Riverside Light Industrial area now have some added flexibility with their operations with new IC (Industrial Commercial) zoning.
This was made possible last January when city council approved the creation of a new district because some landowners were requesting increased flexibility for their properties.
The 20 who have since come forward went through a public hearing and final approval at council’s regular meeting on June 24 to have the new zoning applied.
“If COVID has taught us anything, it’s that businesses are adapting,” said Councillor Ken Johnston, explaining what it means for a business to pivot. “Those who are able to do that are able to take their marketing plan and business plan and turn it on its head. We need to be in step with that by providing this kind of flexibility so businesses can pivot. Without the ability for businesses to think outside the box, by zoning or by usage, we constrain their ability to be successful.”



