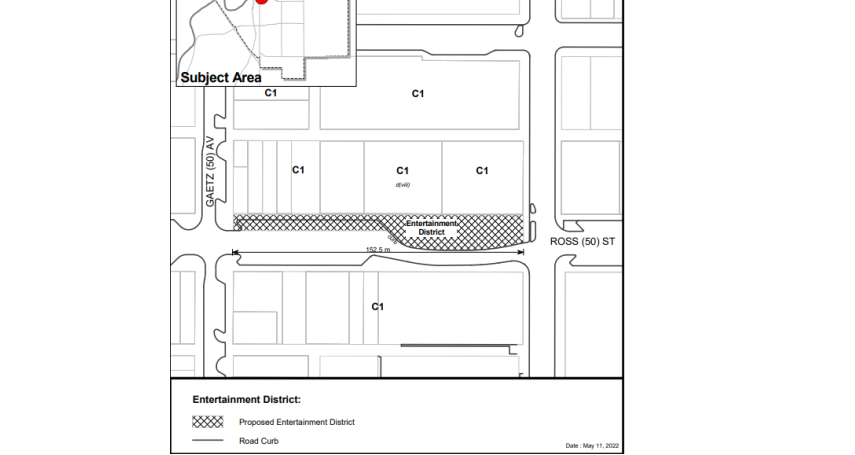
First reading passed for Entertainment District bylaw aimed for downtown
A new Entertainment District bylaw that would be applied to the Ross Street Patio (RSP) area has been read for a first time by Red Deer city council on Tuesday.
Entertainment Districts are described as designated public areas where adults may consume alcohol outside of licensed premises while enjoying various types of entertainment.
Originally requested by the Downtown Business Association (DBA), administration presented the idea of an Entertainment District bylaw to council on May 9.
READ: Red Deer city council considers designating a downtown Entertainment District



